Резултати по ключова дума: флорънс Намерени 9

Тръмп ще посети щатите, които пострадаха най-тежко от урагана Флорънс
Президентът на САЩ Доналд Тръмп ще посети днес щатите Северна и Южна Каролина, които пострадаха най-тежко от урагана Флорънс. По последни данни, загиналите в резултат на природната стихия са най-малко 35. Дни след връхлитането на урагана районът се...

Бебе е сред жертвите на урагана Флорънс
Ураганът Флорънс, който бушува в Северна Каролина от петък, тормози щата с мощна комбинация от вятър и дъжд. Бурята вече е свързана с поне 13 жертви, сред тях и бебе. Детето е било в автомобил с майка си и баща си, когато върху тях е паднало голямо...

Ураганът Флорънс взе пет жертви
Ураганът Флорънс, който вчера сутринта връхлетя атлантическото крайбрежие на САЩ, съпроводен с порои и бурни ветрове, взе пет жертви в щата Северна Каролина, преди да отслабне до тропическа буря, предаде CNN. Майка и нейното бебе са загинали във...

Ураганът Флорънс достигна Северна Каролина
Ураганът Флорънс достигна бреговете на Съединените щати, но вече от категория първа степен. С ветрове, достигащи 150 км/час, ураганът обаче остава близо до втора степен по петстепенната скала на Сафир-Симпсън и продължава да е заплаха за жителите на...

Ураганът Флорънс отслабва, към Европа се насочва ураганът Хелън
Ураганът Флорънс леко отслабна, докато се движи към крайбрежието на Южна и Северна Каролина. Все още се очакват опасни за живота бури и проливни дъждове. Ураганът вече е от втора категория по петстепенната скала на Сафир-Симпсън, съобщи Националният...

Съединените щати се подготвят за урагана Флорънс
Източното крайбрежие на САЩ се подготвя за най-мощния ураган от близо три десетилетия насам. Очаква се Флорънс да достигне сушата в четвъртък. Метеоролозите предупреждават, че стихията може да предизвика големи наводнения. Вирджиния, Мериленд, Южна и...

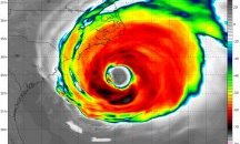
Ураганът Флорънс усилва мощта си до пета степен
Ураганът Флорънс достигна последната 5-та степен и приближава Източното крайбрежие на САЩ, като се очаква да го достигне в късните часове на 12 септември, сряда. Най-засегнати ще бъдат щатите Северна, Южна Каролина и Вирджиния, в които е обявено...

Евакуация по Източното крайбрежие на САЩ заради урагана Флорънс
Започна принудителна евакуация по Източното крайбрежие на САЩ заради приближаващ ураган. Мярката засяга един милион души. Флорънс, който вече е от четвърта степен, може би ще бъде най-силната буря в региона от десетилетия. Метеоролозите...

Извънредно положение във Флорида в очакване на урагана Флорънс
В Съединените щати се подготвят за урагана Флорънс. Според прогнозите докато стигне до източния бряг на САЩ Флорънс може да е от 4 степен. Губернаторът на Южа Каролина - Хенри Макмастър, вече обяви извънредно положение и призова жителите на...